Sair
Assine
Entrar

Entre para receber conteúdo exclusivo.
ou
Crie sua conta A Gazeta
Recuperar senha

Preencha o campo abaixo com seu email.

Saúde

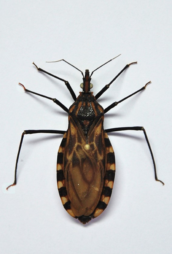
Barbeiros com doença de Chagas são capturados em Venda Nova

Dos 32 insetos capturados pela Vigilância Sanitária neste ano, 14 carregavam o protozoário causador da doença
Redação de A Gazeta

Publicado em 

29 mar 2018 às 19:05

Publicado em 29 de Março de 2018 às 19:05

Animais foram encontrados em casas próximas à matas Crédito: Divulgação/Sesa
O barbeiro, inseto que transmite a doença de Chagas, tem aparecido com frequência em Venda Nova do Imigrante, na Região Sul do Estado. Segundo a Secretaria de Saúde do município, 32 inseto já foram capturados neste ano e, dentre eles, 14 estavam contaminados. A doença, que não tem cura, é transmitida pelo barbeiro que carrega o protozoário Trypanossoma cruzi.
O aparecimento de barbeiros tem acontecido no entorno e dentro de algumas residências próximas à matas e plantações em Venda Nova do Imigrante. A coordenadora da vigilância sanitária, Camila Zandonadi, diz que as aparições não são motivo de alarde. “Essa situação esta sob controle. É comum seu aparecimento, por conta do tipo da região, por ter áreas e matas”, conta.
Ainda segundo Camila Zandonadi, o número de animais contaminados está dentro do normal. Ela afirma que a espécie de barbeiro encontrada em Venda Nova não é bom transmissor. "É um tipo de barbeiro maior e a chance de contaminação é pequena. Nos últimos dez anos, nenhum paciente positivo para doença de Chagas foi registrado em fase aguda", disse. O Espírito Santo registrou apenas um caso da doença em 2017.
A orientação é que o morador deixem o mínimo de lampadas acesas durante a noite, para que os insetos não sejam atraídos. É preciso ainda manter sempre portas e janelas fechadas. Quem encontrar o barbeiro em casa, deve ligar para a secretaria de saúde no número (28) 3546-1258 para que o inseto seja recolhido e analisado.
TRANSMISSÃO
O barceiro se alimenta de sangue e pode adquirir a doença ao picar um animal contaminado. A transmissão em humanos acontece quando o barbeiro pica a pessoa e ao mesmo tempo defeca perto do local da picada. Quando a pessoa coça a região, acaba levando o protozoário Trypanossoma cruzi à corrente sanguínea.
SINTOMAS
Os sinais iniciais da doença se produzem no próprio local onde se deu a contaminação pelas fezes do inseto. Estes sinais surgem mais ou menos de quatro a seis dias, após o contato do barbeiro com a sua vítima. Na fase aguda, há presença de febre, mal estar, falta de apetite, edemas localizados na pálpebra ou em outras partes do corpo.

Este vídeo pode te interessar

Viu algum erro?
Fale com a redação
Informar erro!

Notou alguma informação incorreta no conteúdo de A Gazeta? Nos ajude a corrigir o mais rapido possível! Clique no botão ao lado e envie sua mensagem

Fale com a gente

Envie sua sugestão, comentário ou crítica diretamente aos editores de A Gazeta

A Gazeta integra o

Saiba mais

Recomendado para você

Imagem de destaque
MPES já havia notificado Prefeitura sobre rua que desabou em Jerônimo Monteiro
Imagem de destaque
Nasa lança missão com astronautas à Lua, 53 anos após último voo Apollo
Imagem de destaque
Governo Lula decide enviar ao Congresso projeto de lei próprio sobre fim da escala 6x1

© 1996 - 2024 A Gazeta. Todos os direitos reservados